微信扫一扫
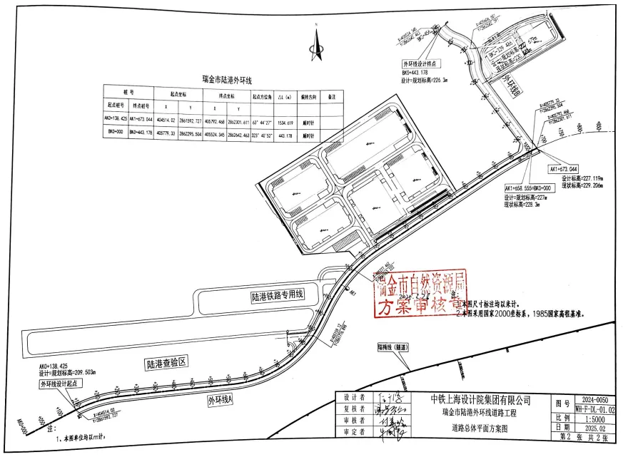
刚刚,瑞金网小编从瑞金市人民政府网公示公告栏了解到,瑞金市自然资源局发布了《关于瑞金市国际陆港二期一标段工程(瑞金市陆港外环线道路工程A段)办理建设工程规划许可证批后公示》,详情如下:

关于瑞金市国际陆港二期一标段工程(瑞金市陆港外环线道路工程A段)办理建设工程规划许可证批后公示
一、项目概要
1、项目名称:瑞金市国际陆港二期一标段工程(瑞金市陆港外环线道路工程A段)
2、建设单位:瑞金市陆空口岸管理有限公司
3、建设位置:瑞金市南岗村
4、审批时间:2025年10月7日
5、工程概况
该项目位于瑞金市瑞金市南岗村,道路长1560米,宽30米。
二、审批单位和联系方式
单位名称:瑞金市自然资源局
单位地址:瑞金市政务服务中心一楼
电话:0797-2322879
邮箱:rjxzsp@163.com


刚刚,瑞金网小编从瑞金市人民政府网公示公告栏了解到,瑞金市自然资源局发布了《关于瑞金市国际陆港二期一标段工程(陆港二期园区)办理建设用地规划许可证批后公示》,详情如下:

关于瑞金市国际陆港二期一标段工程(陆港二期园区)办理建设用地规划许可证批后公示
一、项目概要
1、项目名称:瑞金市国际陆港二期一标段工程(陆港二期园区)
2、建设单位:瑞金市陆空口岸管理有限公司
3、建设位置:瑞金市南岗村
4、审批时间:2025年10月6日
5、工程概况
该项目位于瑞金市南岗村,总用地面积148423.2平方米,物流仓储用地。
二、审批单位和联系方式
单位名称:瑞金市自然资源局
单位地址:瑞金市政务服务中心一楼
电话:0797-2322879
邮箱:rjxzsp@163.com


刚刚,瑞金网小编从瑞金市人民政府网公示公告栏了解到,瑞金市自然资源局发布了《关于瑞金市国际陆港二期一标段工程(瑞金市陆港外环线道路工程S1)办理建设用地规划许可证批后公示》,详情如下:

关于瑞金市国际陆港二期一标段工程(瑞金市陆港外环线道路工程S1)办理建设用地规划许可证批后公示
一、项目概要
1、项目名称:瑞金市国际陆港二期一标段工程(瑞金市陆港外环线道路工程S1)
2、建设单位:瑞金市陆空口岸管理有限公司
3、建设位置:瑞金市南岗村
4、审批时间:2025年10月6日
5、工程概况
该项目位于瑞金市南岗村,总用地面积27252平方米,城镇村道路用地。
二、审批单位和联系方式
单位名称:瑞金市自然资源局
单位地址:瑞金市政务服务中心一楼
电话:0797-2322879
邮箱:rjxzsp@163.com


刚刚,瑞金网小编从瑞金市人民政府网公示公告栏了解到,瑞金市自然资源局发布了《关于瑞金市国际陆港二期一标段工程(瑞金市陆港外环线道路工程S2)办理建设用地规划许可证批后公示》,详情如下:

关于瑞金市国际陆港二期一标段工程(瑞金市陆港外环线道路工程S2)办理建设用地规划许可证批后公示
一、项目概要
1、项目名称:瑞金市国际陆港二期一标段工程(瑞金市陆港外环线道路工程S2)
2、建设单位:瑞金市陆空口岸管理有限公司
3、建设位置:瑞金市南岗村
4、审批时间:2025年10月6日
5、工程概况
该项目位于瑞金市南岗村,总用地面积26764.3平方米,城镇村道路用地。
二、审批单位和联系方式
单位名称:瑞金市自然资源局
单位地址:瑞金市政务服务中心一楼
电话:0797-2322879
邮箱:rjxzsp@163.com



产品我出,照片我给,单子我填
脐橙我摘,包装我来,快递我寄
一件代发,顺丰京东,全国包邮
你只需躺在床上发朋友圈、微信群…
就能接单“躺赚”钱啦!
机会难得!
☎联系电话: 18107976666

长按上方二维码识别添加微信
错过机会再等一年
“躺赚”的快乐必须牢牢把握住
心动不如行动
名额有限,赶快申请吧!

